您所在的位置是:印象河南网 >> 新闻资讯 >> 国内 >> 浏览文章

飞鱼如何“水空两栖”或被解密

2015/1/13 12:14:09 点击数: 【字体:

飞鱼如何“水空两栖”或被解密

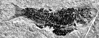
雌性精美乌沙鱼化石。 中科院古脊椎动物与古人类研究所提供
 

    本报北京1月12日电(记者齐芳)飞鱼是一种非常“古怪”的动物:它们本该生活在水里,却经常翱翔在天空。由于飞鱼类化石非常稀少,科学家们始终无法确定飞鱼这种奇特的生活方式是如何形成的。不过,我国科学家的最新发现可能有助于解开这一谜题。

    中国科学院古脊椎动物与古人类研究所和浙江自然博物馆组成的研究小组在贵州省发现一种距今约2亿4千万年的史前飞鱼类化石:精美乌沙鱼(Wushaichthys exquisitus)。这是飞鱼类最原始最古老的化石记录,为研究史前飞鱼的生殖方式和水上滑翔起源提供了新的证据。最新一期的英国皇家学会《生物学报》刊发了这一成果。

    中科院古脊椎所徐光辉、沈辰辰和浙江自然博物馆赵丽君是这一发现的主要完成人。徐光辉介绍说,现代飞鱼具有一对异常宽大的胸鳍作为“主翼”,还有一对较大的腹鳍作为“辅翼”。此外,飞鱼类还进化出一个深分叉且非对称的尾鳍(尾下叶明显比尾上叶强壮)。飞鱼正是靠这种尾鳍的快速摆动,产生强大的推力帮助它们跃出水面,然后再借助胸鳍和腹鳍在空中翱翔。

    “我们尚不清楚飞鱼类如何形成这种水上滑翔能力,但是灭绝的飞鱼物种化石或许能够让我们了解这些飞鱼类生物是如何进化出滑翔能力的。”徐光辉说,在长达4亿多年的硬骨鱼类进化历史中,“水上滑翔机”只出现过两次,分别出现在2亿多年前的胸鳍鱼科和现代的飞鱼科。根据精美乌沙鱼以及其他史前飞鱼化石的研究,徐光辉等提出了一个“头部特化—尾下叶加长—胸鳍变大—鳞片退化”的史前飞鱼演化序列。也就是说,飞鱼类的水上滑翔可能是逐步进化而成的:首先它们头部特化可能帮助它们生活于上层水域,然后进化出非对称尾鳍以帮助它们从水中弹射出来,再然后进化出帮助它们在空中滑翔的大胸鳍,最终鳞片退化使得它们体重减轻以增进滑翔的效能和机动性。

    科学家们还对精美乌沙鱼的生殖方式进行了研究。他们发现,与现代飞鱼类体外受精不同,这种史前飞鱼是“直接生小鱼”的。徐光辉介绍,化石显示,史前飞鱼雄性个体的臀鳍条十分特化,其末端带有钩子。据此推测,史前飞鱼的交配过程与现代卵胎生真骨鱼类似,雄鱼的臀鳍在肌肉的帮助下勃起,向前伸到雌鱼的身体下方泄殖腔内,雄鱼用臀鳍条末端的钩子抓住雌鱼,以帮助顺利完成体内受精过程。

    科学家们认为,这一发现不仅丰富了我们对飞鱼类的认识,更增进了我们对中三叠世时期古特提斯洋生态复杂性的认识,对研究二叠纪末生物大灭绝后的古生态系统变化有非常重要的意义。



责任编辑:M005文章来源:光明日报
0
相关信息
精彩展示
评论区
友情链接 商都网 中国网河南频道 印象河南网 新华网河南频道 河南豫剧网 河南省书画网 中国越调网 中国古曲网 博雅特产网 福客网 中国戏剧网 中国土特产网 河南自驾旅游网 中华姓氏网 中国旅游网 中国传统文化艺术网 族谱录 文化遗产网 梨园网 河洛大鼓网 剪纸皮影网 中国国家艺术网 庆阳民俗文化商城